秦皇岛七中又要新建一个校区!
扫描到手机,新闻随时看
扫一扫,用手机看文章
更加方便分享给朋友



据此前招标信息显示
项目拟建12轨制36个教学班
可容纳1800名学生就读

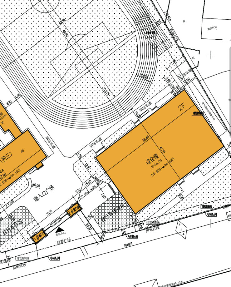
公示信息显示
规划图中包含
地上建筑包括3栋教学楼
分别供初一、初二、初三使用
楼与楼间由连廊相连接
旁边设有综合楼




第七中学集团桃源校区项目位于海港区北部工业区,民族北路以东,揽月街以北。
拟建14轨制42个教学班,可同时容纳2100名学生就读。


图源:秦皇岛市建筑设计院有限公司
总投资18284.21万元
其中,地上建筑面积27210㎡(包合教学行政楼17573㎡,教学综合楼7216㎡,风雨操场1621㎡,门卫及换热站232㎡,看台268㎡,自行车棚300㎡);地下建筑面积4221㎡。

项目总投资18284.21万元。本项目采用装配式及建筑信息模型(BIM)新技术指导施工。

管理互通、师资共享
出了学校,师资同样重要!海港区教育集团成立以后,积极学习借鉴外地成功经验,不断完善集团化办学各项制度,依托现代化网络信息技术,通过教师的合理流动、结对互助,实施了“六大行动”——即管理互通、师资共享、教研一体、质量共进、文化共建、特色发展,取得了显著成效。
来源:海港区人们政府
声明:本文由入驻焦点开放平台的作者撰写,除焦点官方账号外,观点仅代表作者本人,不代表焦点立场。


