最新公告!秦皇岛第七中学又要建新校区
扫描到手机,新闻随时看
扫一扫,用手机看文章
更加方便分享给朋友

场地平整工程详情
本工程为秦皇岛市第七中学集团产业新城校区项目场地平整工程,包括图纸范围内相应位置的场区清表、场区回填土方(部分外购)、临时路清表、临时路回填山皮土(外购)、临时排水沟、防尘网覆盖、临时围挡、人员看护等内容。
产业新城小区项目概况
项目名称:秦皇岛市第七中学集团产业新城校区项目
建设地点:秦皇岛市海港区杜庄镇兴民街以北,黄庄村址以西,规划路以东。

项目规模:总建筑面积为26873.5平方米,其中:地上总建筑面积24509.2平方米,包括综合楼建筑面积9024.3平方米、高度19.6米。
教学楼(初一)建筑面积6040.1平方米、高度23.1米,
教学楼(初二)建筑面积4680.9平方米、高度18.6米,
教学楼(初三)建筑面积4680.9平方米、高度18.6米,
门卫建筑面积152平方米、高度4.95米,
运动场及绿化,硬化及室外管网等配套设施;
地下建筑面积2364.3平方米,包括地下车库及设备用房。
秦皇岛海港区杜庄学区第一小学分校总建筑面积8436.46平方米,装配率50%以上。主要建设教学楼、学生餐厅、门卫、运动场等。规划新建4轨制24个教学班,可同时容纳1080名学生就读。
据相关消息称,目前杜庄学区第一小学分校区已经基本竣工,预计今年9月份投入使用。
杜庄校区第一小学分校项目建成后,将有效缓解杜庄片区现阶段学位紧张局面,改善学生学习条件。
第七中学集团桃源校区
第七中学集团桃源校区地址在民族北路以东、揽月街以北、规划路以南、规划路以西。土地面积为5.250425公顷。
根据相关信息显示,第七中学集团桃源校区拟建14轨制42个教学班。其中,地上建筑面积27020平方米,地下建筑面积2880平方米, 可同时容纳2100名学生就读。
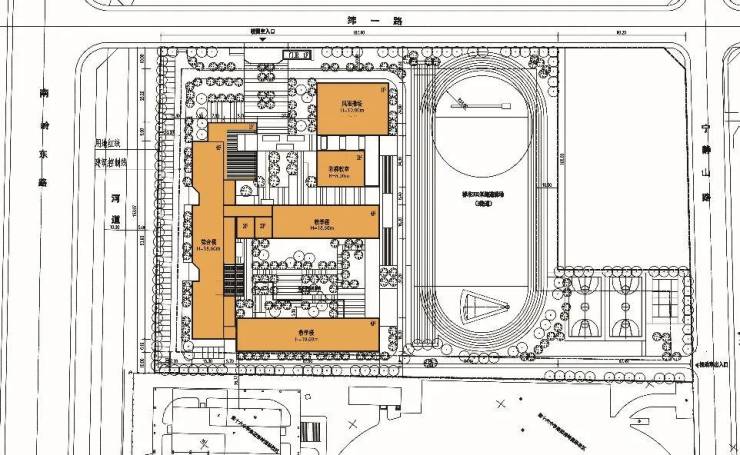
南岭路小学项目
南岭路小学新建项目设计已由秦皇岛市海港区发展和改革局以海发改审【2024】12号批准建设,建设地点位于海港区南岭东路以东、纬一路以南、宁静山路以西,南侧紧邻十六中南岭分校。
项目主要建设6轨制36个教学班的完全小学,总用地面积32633平方米,总建筑面积19131平方米。
主要包括教学楼、实验楼、综合楼、风雨操场、合班教室、图书室、300米操场、主席台看台、门卫、换热站以及绿化、道路、人防设施等配套工程。项目建成后,可同时容纳1620名学生就读。
月牙湖小学项目
月牙湖小学位于秦皇岛经济技术开发区小米河头村(秦皇岛经济技术开发区月牙湖路以北、桓仁湖路以东、东台河道以南、规划商业用地以西)。
该学校占地面积22069.26㎡,总建筑面积12000.00㎡(地面建筑面积11400㎡,地下建筑面积600㎡)。拟建一所4轨制24个教学班的小学,建成后可同时容纳学生人数1080人。
以上文字信息、图片来源自河北省招标投标公共服务平台、秦皇岛市建筑设计院、有料秦皇岛。
声明:本文由入驻焦点开放平台的作者撰写,除焦点官方账号外,观点仅代表作者本人,不代表焦点立场。


