秦皇岛茂业酒店规划调整公示,金梦海湾新添一座150米高楼!
秦皇岛微看房 2020-11-16 10:35:09
用手机看
扫描到手机,新闻随时看
扫一扫,用手机看文章
更加方便分享给朋友
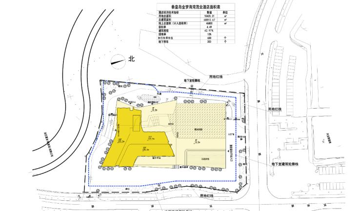
近日,秦皇岛茂业酒店项目在秦皇岛市自然资源和规划局网站进行规划调整公示,为完善金梦海湾片区配套设施,提升旅游接待能力,秦皇岛茂业酒店项目容积率由原规划条件确定的<2.0调整为<4.5、建筑密度由≤35%调整为≤50%、绿地率由≥35%调整至≥10%;主体高度为150米。
近日,秦皇岛茂业酒店项目在秦皇岛市自然资源和规划局网站进行规划调整公示,为完善金梦海湾片区配套设施,提升旅游接待能力,秦皇岛茂业酒店项目容积率由原规划条件确定的<2.0调整为<4.5、建筑密度由≤35%调整为≤50%、绿地率由≥35%调整至≥10%;主体高度为150米。


秦皇岛茂业酒店占地面积10420.31平方米,总建筑面积68810.67,地下停车位300个,包含酒店及办公用房。


声明:本文由入驻焦点开放平台的作者撰写,除焦点官方账号外,观点仅代表作者本人,不代表焦点立场。


